By Tuesday afternoon, the polar front will have passed well off the coast and a northerly flow will be advectiving cold air into our region. Here are the 850 mb temps for early Wednesday...the axis of the coldest air will remain SW from Lake Michigan ENE towards the Gulf of the St. Lawrence...
But within 2 days, the deepest chill will be moderating back towards normal...although the surface temps may struggle to climb as quickly...
But where is this storm that the Euro was so bullish on for several consecutive runs? Wide right!
I'm not convinced this is the final solution as the pattern is changing as the teleconnections of the NAO, AO, and the PNA are signaling a switch from positive to negative or vice-versa...and I'm not convinced this snow output will verify either. The folks along the SC coast or those vacationing there sure are hoping it doesn't!
Note the lake effect snows downwind of the Great Lakes...especially Lake Ontario and the Tug Hill Plateau! One thing does look likely in the longer term and that a surge of late season warmth will try to make a run at the NE as seen below...
In fact, the climate models are suggesting the same for the 3rd week of the month...
But don't get too used to that as the modeling is suggesting a cold upcoming Thanksgiving season for the east...but PHX looks nice and warm me timing compadre!
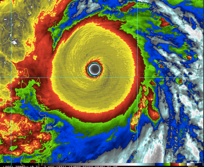
Remember, those maps are normalized over several days, so they tend to show tendencies rather than day to day swings. And the maps are in ÂșC, so multiply by 2 for a better feel for our temp scale mindfulness...and speaking of mindfulness, keep in our thoughts those adversely afflicted by nature's fury known as Typhoon Haiyan...
Such a powerful storm...but such an impressive natural creation from our maker!
And a still hi-res...breath-taking
So much wx...so little time! And speaking of time, I'd like to just publicly thank everyone for their kind words over the past couple of weeks as word has spread that I am no longer going to be a part of the CDSD athletics support staff on a regular basis. I was truly humbled by the numerous comments and well wishes tossed my way. But now I'll have more time to read about Medium Chain Triglycerides (MCTs), Pulsed Electromagnetic Field Therapy and Stimulation (PEMF), and High Intensity Interval Training (HIIT). I know...sounds like such fun! But I truly want to stimulate my cellular mitochondria and generate a greater quantity of ATP for cellular regeneration! I'll also get to read a few more books like Killing Jesus, Napoleon's Buttons, and other non-fiction texts. For those that know me, that is truly a maturation accomplishment as my ADHD often limits me to reading Twitter ($TWTR) feeds and news articles containing 250 words or less! I'll spend more time with my family...much to the delight of my kids and grand-kid...
AND POSSIBLY EVEN MORE TIME TO BLOG! I'm sure y'all can't wait...hahaha! With that, I'm off to PF and begin my week's end...and I hope y'all enjoy your week's end as well. And enjoy this ditty from an Album that I've been getting into lately whilst exercising at the gym...ya think they're havin' fun or what? Jammin' baby!
Thanks for reading...
Smitty
AA: Snow potential looks to be less and less for later this week. But cold air will invade big time! Moderating temps then afterwards before getting cold again for Thanksgiving week. But I'll update long before then...here is the Euro meteogram for Harrisburg; that is a COLD WEDNESDAY!





















